Hi, I'm Reika. Beauty Advisor of RiRi.

Online カウンセリング・レッスン無料開催中

Instagram

Menu

Facial Care ¥1,500
(Salon ¥5,000~)

『LUMISPA』細胞研究生まれの美肌ストレッチで悩みのない肌へ。世界No.1美容デバイスとして表彰された洗顔美顔器を使用して洗顔の時間を肌を育てる時間に。毛穴の目立たないキメ細かなパールスキンへ導きます。

『GalvanicSPA』遺伝子発言にアプローチ、ワンランク上のエイジングケア毛穴の隅々まで汚れを落とし美容成分をダイレクトに届け、なめらかでハリのある理想の肌へと導きます。

クレンジング~ベースメイクまで

Body Care ¥1,500
(Salon ¥18,000~)

ボディの肌質に特化したガルバニック&パルス電流による本格ケア。 痛みなくセルライトの除去、むくみの解消・緩んだ皮膚の引き締めなど、加齢による変化に働きかけるトータルエイジングケアです。 体液の流動と脂肪分解を促進し、肌の構造と保湿機能を正常化させることでスリミングと美肌が同時に期待できます。

・二の腕
・ふくらはぎ〜足首

いずれかの部位でご体験いただけます

Makeup Lesson ¥1,500
(Salon ¥5,000~)

東洋人女性の美しさを引き立たせる色揃えと処方で、よそおうたびに知らなかった魅力を発見する『NU COLOR』

・エレガント
・スイート
・ナチュラル

ご要望に応じて一人一人にアドバイスいたします。 毎日のメイクをもっと楽しく、新しい自分を見つけるひと工夫を体験できます。

普段のメイクチェック~基本的な肌作り~眉の描き方~ポイントメイク

Skin Counseling ¥500

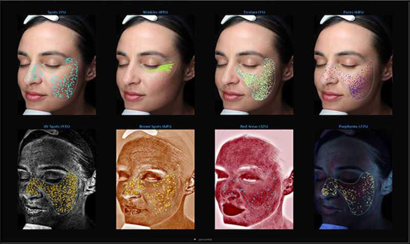
世界中のクリニックや研究機関で使用されているVISIA TM Evolution(ビジア)は、最新のカメラと分析技術で

・肌のシミ

・キメ

・シワ

・毛穴

・ポルフィリン(ニキビの元になるアクネ菌の代謝物)などを解析できる機器を使います。
現在の状態はもとより、潜在的な隠れジミなどもわかるため、正しい予測に基づいた効果的なスキンケアや生活習慣の改善のご提案が可能になります。

Micro Scope Scalp Check ¥500

髪の毛は見た目年齢に大きく影響しています。マイクロスコープで頭皮の状態、毛根の状態をチェックし適切なスカルプケアを提案させていただきます。

・髪の艶

・毛量(薄毛)

・しなやかさ

・白髪

・かゆみ

・フケ

ツヤ髪は最高のアクセサリーです。スコープチェックだけでも良いので自分を知るキッカケに活用ください。

まずは気軽に無料カウンセリング・無料体験をお試しください。

使用製品について

米国ニュースキンエンタープライズ社のコスメブランド『NUSKIN』とサプリメントブランド『PHARMANEX』を取り扱っています。 スタッフ一同、心から愛用する良いものだけをセレクトしています。

カウンセリングと体験からお客様のニーズあった製品を提案させていただきます。サロンでの施術に加えて、日々の洗顔などのセルフケア、役立つ知識や習慣を身につけていただきながら『健康美人』をプロデュースしています。

検索語を上に入力し、 Enter キーを押して検索します。キャンセルするには ESC を押してください。

トップに戻る